Terreno in vendita

Sovere, Via Nazionale
€ 190.000
2410 Mq 2410 Mq

Terreno in vendita

Sovere, Via Nazionale

Descrizione annuncio

SOVERE:

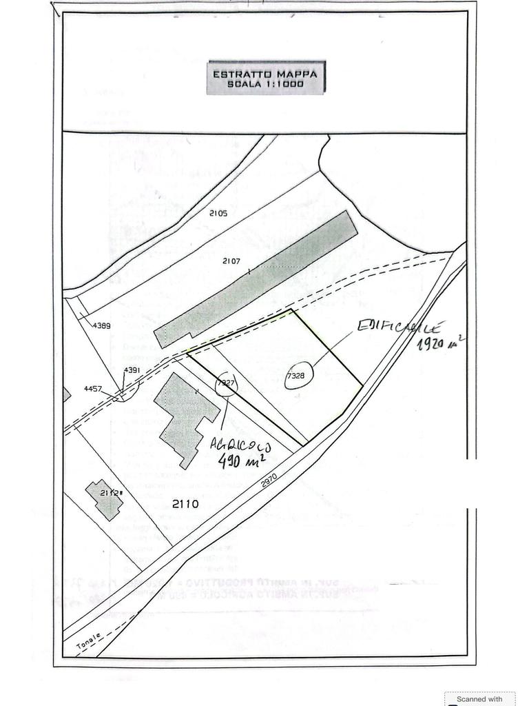
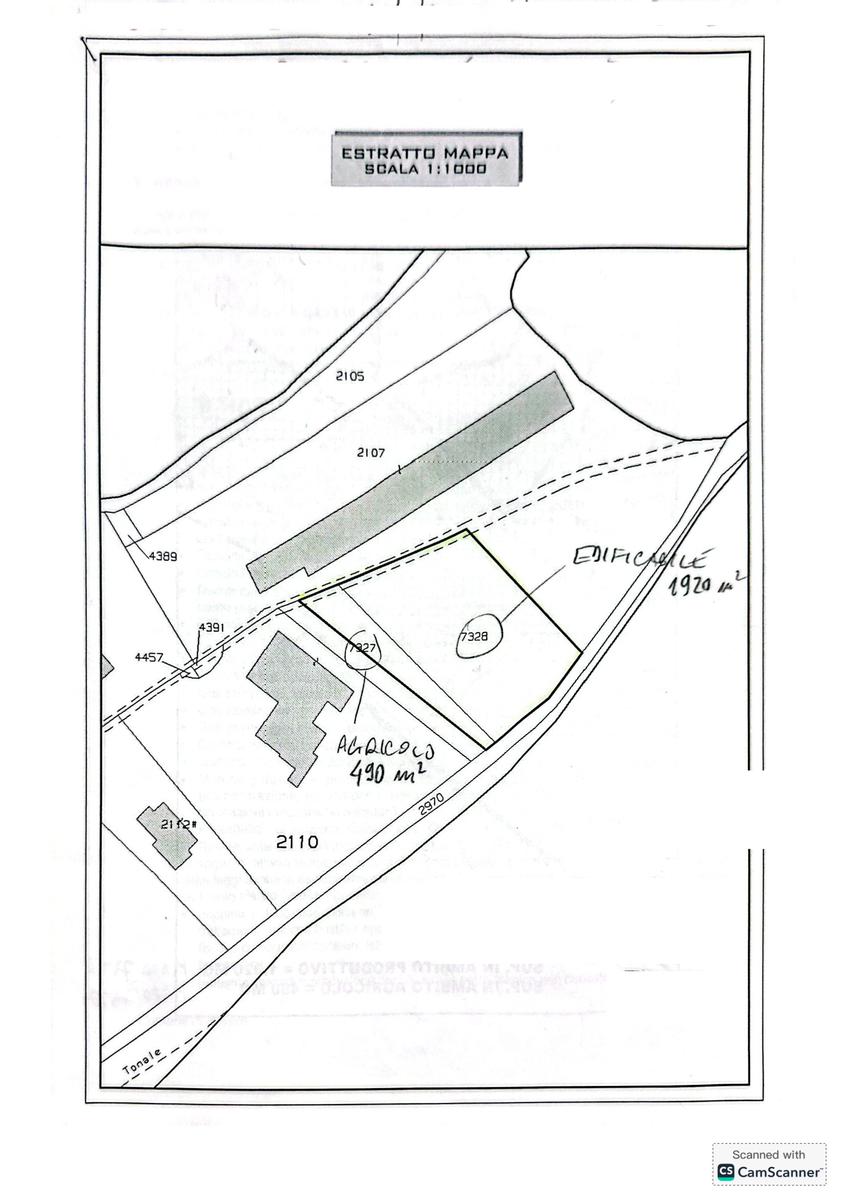
Nel comune di Sovere, proponiamo in vendita terreno misto agricolo ed edificabile situato in zona facilmente raggiungibile e ben servita. La superficie complessiva del terreno è pari a 2410 mq, di cui 490 mq sono agricoli, mentre la restante parte dei mq è edificabile.

La porzione agricola è pianeggiante, ben esposta e facilmente accessibile da strada. Presenza di rete idrica e altre utenze nelle vicinanze.

La parte edificabile, di circa 1.920 mq, da la possibilità di realizzare un capannone:

Su un livello: superficie coperta di circa 1.344 mq;

Su due livelli: superficie coperta di circa 1.152 mq cada uno.

La zona urbanistica consente destinazioni d’uso produttive o miste (artigianali/industriali, commerciali o logistiche), con possibilità di personalizzare il progetto in base alle esigenze dell’attività.

Mostra tutto

Nelle vicinanze

Trasporto pubblico Trasporto pubblico
Pianico
Pianico
30 m
Pianico (cimitero)
Pianico (cimitero)
290 m
Lovere 1
2,6 Km
Lovere 2
2,7 Km
Scuole Scuole
Istituto Comprensivo Sovere Daniele Spada
1,9 Km
Scuole
2,1 Km
Scuole medie
2,1 Km
Scuole elementari
2,1 Km
Istituto superiore Ivan Piana
2,9 Km
Farmacia Farmacia
Farmacia
1,7 Km
Farmacia Gambera Francesca
2,1 Km
Rillosi
2,6 Km
Ospedali Ospedali
Ospedali
2,6 Km
Supermercati Supermercati
Italmark
910 m
Dimeglio
2,1 Km
Punto Supermercato SMA
2,1 Km
MD
2,2 Km
Negozi Negozi
Crai
2,0 Km
Vianelli
2,5 Km
Bar Bar
Bar Stella
1,4 Km
Bar
1,4 Km
Bar-Pizzeria "Le Piante"
1,8 Km
Perla Nera
2,0 Km
Bar Style
2,1 Km
Ristoranti Ristoranti
Ristorante La Baita
1,7 Km
Pizzeria da Mirco
1,9 Km
Balì
2,0 Km
Aurora
2,0 Km
Antica Osteria
2,0 Km
Mostra tutto

Caratteristiche

Rif.:
61132487
Piano:
Terra
Condizionamento:
Assente
Ascensore:
No
Riscaldamento:
Assente
Giardino:
Privato
Mostra tutto
Prezzo Prezzo
€ 190.000
Rata mutuo Rata mutuo
€ 895 / mese
Spese annue Spese annue
€ 0
Proponi il tuo prezzoProponi il tuo prezzo

Classe Energetica

Questo immobile è esente da classe energetica
Riscaldamento:
Assente

Ti interessa visionare l'immobile?

Fissa un appuntamento  Fissa un appuntamento

Richiedi informazioni

Clicca su Leggi per aprire l'informativa
* Questi campi sono obbligatori

Calcola il tuo mutuo

Semplice e senza impegno
Anticipo

( % )
Mutuo

( % )

pochi semplici passi

inserisci i tuoi dati
Questionario completato
Grazie per aver richiesto un appuntamento senza impegno con un nostro Consulente del Credito e Assicurativo.

Hai inserito correttamente tutti i dati necessari e a breve riceverai una e-mail con un link da convalidare per inviare i tuoi dati.
Affiliato
Agenzia Per L'Impresa Srl
Via Nazionale, 126 24062 Costa Volpino (BG)

Il nostro staff


  • Giorgia Bertolazzi
    Collaboratrice

  • Omar Affou
    Collaboratore

  • Sharon Petenzi
    Coordinatrice

  • Alessandro Quaini
    Collaboratore

  • Matteo Truppa
    Affiliato
Via Nazionale, 126 24062 Costa Volpino (BG)
Zona: Valle Camonica - Lago D'Iseo - Val Cavallina
Mostra su mappa
Affiliato
Agenzia Per L'Impresa Srl
Via Nazionale, 126 24062 Costa Volpino (BG)

2026 Tecnocasa Franchising S.p.A. - P. IVA 08365160152 - Via Monte Bianco 60/A 20089 Rozzano (MI). Ogni agenzia ha un proprio titolare ed è autonoma. Privacy policy | Policy utilizzo | Cookie policy